Систематика рыб на 2021 год в формате документа MS Word (.doc)Систематика 2021
Пользователей онлайн: 0.
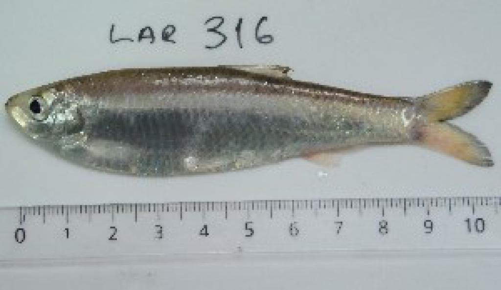
Тело удлиненное с выдающимся килем и небольшой головой. В спинном плавнике 15-16 мягких лучей, в анальном 12-23. Самцы мельче и стройнее самок. Окраска: спина оливковая, бока серебристые с голубым оттенком. Хвостовой плавник слабо оранжевый с черной каймой. Вырастает до 10 см SL
Обитает в Уругвае и в Аргентине
Встречается в средних реках с медленным или умеренным течением. Живет крупными косяками. Питается зоопланктоном. О размножение в природе данных нет.