Вы здесь

Род Ramnogaster (Рамногастер)

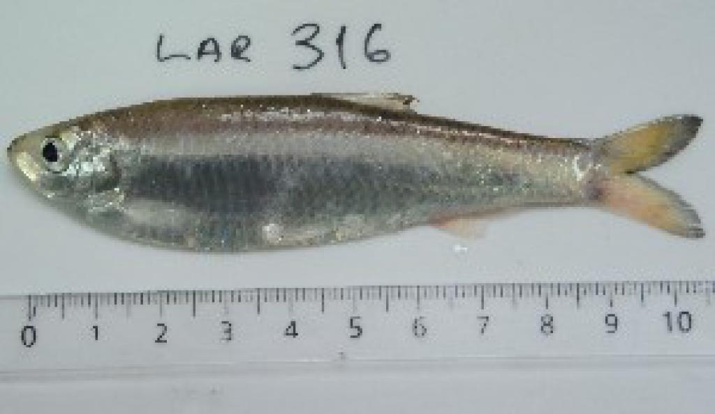
Ramnogaster насчитывает 2 вида. Пресноводный только один – R.melanostoma (Eigenmann, 1907). Обитает в водоемах Аргентины и Уругвая. Встречается в среднем и нижнем течение рек. Образует группы. Малоизученный вид. Вырастает до 10 см.

Виды этого рода в нашей базе

Счетчики

Яндекс.Метрика


Разработка

© 2012-2021 Алексей Малышев
© 2012-2013 Слава Юдаков