Вы здесь

Clupeidae (Сельдеевые)

Pellonula vorax (Большезубая сельдь)

Тело относительно короткое с крупной головой и высокой спиной. В спинном плавнике 15-19 мягких лучей, в анальном 16-21. Самцы мельче и стройнее самок. Окраска: спина оливковая, бока серебристые. На спине мелкий крап. Основания хвостового и спинного плавников темные. Хвостовой плавник лимонного цвета. Вырастает до 12 см SL

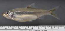
Platanichthys platana (Шпрот платана)

Тело удлиненное с выдающимся килем и почти прямой спиной. Голова маленькая. В спинном плавнике 13-21 мягких лучей, в анальном 12-23. Самцы мельче и стройнее самок. Окраска: спина коричневатая, бока серебристые. Вырастает до 9,7 см SL

Potamalosa richmondia (Австралийская пресноводная сельдь)

Тело удлиненное, сжатое с боков и крупной головой. Чешуя мелкая. В спинном плавнике 12-18 мягких лучей, в анальном 16-27. Самцы мельче и стройнее самок. Окраска: спина серая, бока серебристые. Вырастает до 32 см SL

Ramnogaster melanostomus (Уругвайский шпрот)

Тело удлиненное с выдающимся килем и небольшой головой. В спинном плавнике 15-16 мягких лучей, в анальном 12-23. Самцы мельче и стройнее самок. Окраска: спина оливковая, бока серебристые с голубым оттенком. Хвостовой плавник слабо оранжевый с черной каймой. Вырастает до 10 см SL

Rhinosardinia bahiensis (Риносардиния бахия)

Тело удлиненное, сжатое с боков. Рот верхний. В спинном плавнике 13-21 мягких лучей, в анальном 15-18. Самцы стройнее и мельче самок. Окраска: бока серебристые. Хвостовой и спинной плавник желтые. Спинной с черным окончанием, хвостовой с черной каймой. Вырастает до 8 см SL

Sardina pilchardus (Европейская сардина)

Тело удлиненное, торпедообразное с небольшой головой и острым рылом. В спинном плавнике 13-21 мягких лучей, в анальном 12-23. Самцы мельче и стройнее самок. Окраска: спина серая, бока серебристые с мелкими пятнами на боках в ряд по горизонтали. Вырастает до 27,5 см SL

Sardinella tawilis (Пресноводная сардинелла)

Тело относительно короткое с выдающимся килем и почти прямой спиной. В спинном плавнике 15-18 мягких лучей, в анальном 18-21. Самцы мельче и стройнее самок. Окраска: спина серая, бока серебристые. Каждая чешуйка выделена черной точкой. Вырастает до 12 см TL

Sauvangella madagascariensis (Мадагаскарская сельдь)

Тело удлиненное с небольшой головой. В спинном плавнике 13-16 мягких лучей, в анальном 17-19. Самцы мельче и стройнее самок. Окраска: спина и бока оливковые с оранжевой горизонтальной полосой (только у молодых). Вырастает до 49,7 см TL

Sauvangella robusta (Сельдь робуста)

Тело удлиненное с небольшой головой и крупными глазами. В спинном плавнике 11-15 мягких лучей, в анальном 13-17. Самцы мельче и стройнее самок. Окраска: спина и бока оливковые с черной горизонтальной полосой. Вырастает до 4,7 см SL

Stolothrissa tanganicae (Танганьикский шпрот)

Тело удлиненное, стройное с крупной головой и большими глазами. В спинном плавнике 12-18 мягких лучей, в анальном 16-27. Самцы мельче и стройнее самок. Окраска: спина оливковая, бока серебристые с голубой горизонтальной полосой. Вырастает до 10 см SL

Страницы

Счетчики

Яндекс.Метрика


Разработка

© 2012-2021 Алексей Малышев
© 2012-2013 Слава Юдаков