Систематика рыб на 2021 год в формате документа MS Word (.doc)Систематика 2021
Пользователей онлайн: 0.
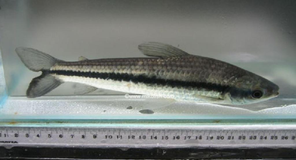
Тело удлиненное с небольшой и немного плоской головой. Самцы стройнее самок. Окраска: общий фон серебристо-серый с темной горизонтальной полосой. Плавники серые. Вырастает до 16,6 см SL
Обитает в бассейне реки Ориноко в Венесуэле
Встречается в небольших и средних реках с медленным или умеренным течением. Плавает вниз головой. Стайный. Питается детритом, нитчатыми водорослями и донными беспозвоночными. Нерест парный на затопленную траву.